Einer langen Tradition folgend unternahmen Torsten und Jörn Lübbe, Dirk Ihle, Peter Korduan und Tino Hülsenbeck mit dem Greenhorn Christian Lübcke auch 2016 eine Tauchtour in der Herrentagswoche. Erkundet wurde das Rote Meer - von unserer Unterkunft, dem „Shagra Village“, etwas nördlich von Marsa Alam gelegen.
Die beschwerliche Anreise startete am 30. April gegen 02:00 Uhr in der Frühe, der Flug ging von Tegel nach Hurghada. Pünktlich gelandet auf dem verwaisten Flughafen folgte eine stundenlange Fahrt durch die nicht wirklich abwechslungsreiche Wüstenlandschaft. Wie wir mehrfach feststellen konnten, leidet das Land unter den Folgen der Revolution von 2011 und dem Flugzeuganschlag kurz darauf. Eine Vielzahl halb fertiggestellter Gebäude und es erscheint unwahrscheinlich, dass dort jemals auch nur ein Tourist seinen Urlaub verbringt. Auch den etablierten Hotels fehlen die Touristen, viele öffnen erst gar nicht. Eine Ausnahme bilden die Hotels mit Tauchbasen, die aber wahrscheinlich auch nur zu 50% ausgelastet sind.
Das „Shagra Village“ ist genau auf unser Hobby Tauchen zugeschnitten. Rezeption, Tauchbasis, kleiner Andenkenladen, Cafe, Restaurant und Unterkünfte – fertig, fast, beinahe hätte ich das Rote Meer mit dem scheinbar unendlichen Riff vergessen. Es stehen verschiedene Unterkünfte zur Auswahl, sowohl einfache und komfortablere Zelte oder Chalets. Die Zelte stehen direkt am Strand, keine 50 Meter vom Wasser entfernt, die Chalets in einem weiten Bogen aufgereiht. Die Ausstattung ist spartanisch zu nennen, außer zwei Betten gab es noch je einen Nachttisch, Schreibtisch, Hocker, Kühlschrank, Schrank mit Safe, Wasserkocher und sage und schreibe zwei Tassen! Um es nicht zu verheimlichen, unser erstes Chalet hatte sogar einen Fernseher, dafür gingen weder Safe noch Klimaanlage und die Tür öffnete sich erst nach langem Kampf. Das mag sich anhören als wären wir mit unserer Wahl nicht zufrieden gewesen aber das Gegenteil ist der Fall. Schlafen Essen Tauchen - darum drehte sich unser Aufenthalt. Gut - schlafen war nicht immer einfach, das lag zum großen Teil an den wenigen "Landlebewesen" der Gegend, kleine blutrünstige Mücken mit aggressivem Summen. Dafür waren Frühstück, Mittag und Abendessen abwechslungsreich und wohlschmeckend, der Nachtisch war das i-Tüpfelchen... Hier möchte ich auch gleich das überaus aufmerksame und freundliche Personal erwähnen, immer gut gelaunt und so flink, dass man es sich genau überlegen musste, das Besteck auf den Teller abzulegen.
Nun aber zu dem Hauptgrund der Reise - TAUCHEN!!!! Direkt am Strand war die Tauchbasis: abschließbare Fächer für Zubehör, reichlich Flaschen, auch Nitrox, Frischwasserbassins und Trockenmöglichkeiten für Anzüge und Westen. Bevor jedoch das Nord- oder Südriff vom Strand oder per Schlauchboot erkundet werden konnte waren noch einige Formalitäten zu erledigen. Der Betreiber sichert sich mittels einer umfangreichen Checkliste gegen alle Eventualitäten ab. Sicherheit wird auch hier groß geschrieben, die Dekokammer ist in Sichtweite des Hotels, für den Fall der Fälle. Die ersten beiden Tauchgänge am Hausriff wurden von dem erfahrenen einheimischen Guide Maradona (sein Vater war oder ist wahrscheinlich fußballverrückt) souverän geführt. Alle Guides kennen sich nicht nur bestens an allen Tauchspots aus, weisen auf Highlights hin und unterstützen die - sagen wir mal nicht so erfahrenen Taucher. Die Vorbesprechung zeichnet durch klare Strukturierung und ausreichende Informationen zu Verlauf des TG aus.
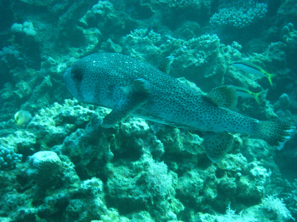
Im Gegensatz zu den "alten Hasen" war ich das erste Mal am bzw. im Roten Meer und eine Erfahrung war die doch recht erhebliche Bleimenge. Tauche ich in der Ostsee benötige ich 8 Kilo, im Roten Meer dagegen 14, zwischenzeitlich sogar 16 Kilo!!!! Wichtig war auch Maradonas Hinweis eine 15 Liter Flasche zu nutzen, da mein Luftverbrauch - untertrieben gesagt - überdurchschnittlich ist. Aber genug der Vorrede, im Gegensatz zu der bereits erwähnten Eintönigkeit an Land ist das Leben unter Wasser unglaublich vielfältig, es gibt nicht nur Fische in den unterschiedlichsten Größen, Formen und Farben auch die Korallen bieten Abwechslung ungeahnten Ausmaßes. Die Farbpalette reicht von weiß, gelb, rosa, grün, blau, braun bis schwarz, die Aufzählung ist mit Sicherheit nicht vollzählig. Ob Weich- oder Hartkoralle, auch die Formen sind vielfältig - von filigran über kräftig bis zu massiv. Ich hatte beim Tauchen mehrfach den Eindruck über die Korallenriffe zu "fliegen", Fische vor, über, unter, hinter und neben mir....
Highlights - berichte ich Freunden und Kollegen von der Reise werde ich immer nach "dem" Höhepunkt gefragt, aber den gibt es für mich nicht. Die Mehrheit der Reisegruppe wird wahrscheinlich das Ereignis am Ende des letzten Tauchganges als Highlight nennen. Wir hatten bereits die Bojen gesetzt, als meine Tauchgruppe völlig aus dem Häuschen geriet. Alle zeigten aufgeregt in meine Richtung - und ich hatte die Befürchtung, das Schlauchboot ist im Anmarsch und ich wäre zu dicht unter der Oberfläche... Zu meinem Erstaunen erblickte ich hinter mir jedoch kein Schlauchboot sondern eine große Gruppe Delphine!!! Elegant und unbeschreiblich schnell zogen sie an uns vorüber... Auftauchen, ins Schlauchboot und hinterher... erfolglos, keine Chance die flinken Tiere einzuholen. Wieder ins Boot, wieder hinterher - überholen und abtauchen - da kommen sie!!! 18 Delphine, teilweise Mütter mit Jungtieren, tauchen erneut unter uns durch. Abends erfahre ich, dass diese Treffen durchaus etwas besonderes ist, ABU Torsten hat schon mehrere 100 Tauchgänge ohne einen einzigen Delphin absolviert, für mich war es erst der 39. Aber auch die 11 vorangegangenen Tauchgänge waren durchaus interessant und erlebnisreich. Wo soll ich anfangen, was ist vielleicht nicht so aufregend? Blaupunktrochen, Feuer-, Lion-, Kugel-, Flötenfische, Nemos... Muränen, richtige Prachtexemplare, vor denen sogar Maradona Respeckt hatte, Diademseeigel bei meinem ersten (!) Nachttauchgang, ausgewachsene Schildkröten, Gitarrenhai, Napoleonfisch - Leute fahrt alleine hin, es ist eine Wucht. Ach-so, ein Tip an alle Einstern-Taucher, 90 Prozent könnt ihr direkt am Hausriff bzw. bei einfachen Tauchgängen sehen. Für schwierigere Spots sind allerdings 50 Tauchgänge und Zweistern Voraussetzung um z.B. dem Hammerhai die Zähne zu zeigen.
Trotz weniger Wermutstropfen – einer Fingerverletzung und des völlig überteuerten Internetzuganges - ICH KOMME WIEDER!!!
Text: Christian Lübcke
Fotos: Torsten Lübbe, Tino Hülsenbeck
